Letters to England from John Hawdon of Elderslie

John Hawdon of Elderslie wrote letters to England between 1828 and 1837, and this post contains the letters from 1828 to 1830. The letters are located in the collection of the State Library of NSW. (State Library of NSW – Call Number A 1329-A 1330)
The Hawdon letters offer a valuable insight into colonial life in New South Wales during the late 1820s and 1830s, particularly in the Cowpastures and the broader region.
The trials and tribulations of farming in the colony of New South Wales, and the sense of isolation the Hawdon family felt away from their home in England. The Hawdon letters are written and sent from different locations, starting with the ship off Plymouth, then Van Diemen’s Land, Elderslie, NSW, and Sydney, NSW.
The Hawdon letters are difficult to read due to their cross-written nature.
Index To Letters 1828-1830
Hawdon Letters Part 2 1831-1833
Hawdon Letters Part 3 1833-1837
Letters pose many challenges
The handwriting is cross-written on most letters. Some handwriting is illegible and has been marked with an ellipsis like this: ‘…’. The transcriptions of the Hawdon letters have not been proofread and may contain errors.
The letters have been transcribed as originally written, and in some cases, their meaning is unclear. John Hawdon has written the letters in a single stream with minimal punctuation from the top of the page to the bottom. Words are capitalised for no apparent reason.
The original spelling and flow of handwritten text are kept as much as possible. Paragraphing has been added to these transcriptions for clarity and ease of reading.
The fold in the letter paper interrupts John Hawdon’s stream of consciousness, making it difficult to follow when the text moves onto another fold. The text does not necessarily follow the folds in the letter paper. One letter sheet can be folded several times, and each fold can be cross-written. Text may have been written along the edge of the letter, perpendicular to the remainder of the text on the fold in the letter paper.
It is evident that John Hawdon sometimes has written part of a letter, left it for some time, and then recommenced writing at a later date. On one occasion, he stated that he had written it over six weeks (4 Nov 1833). In this situation, the language is disjointed and lacks smooth flow.
John Hawdon’s expression from the 1820s and 1830s can sometimes make his intentions confusing to modern readers. The text in some of the letters is disjointed and difficult to understand, particularly in cross-written letters.
John Hawdon makes references to other people in his letters, and it can be difficult to work out who he is referring to, as he generally supplies very little detail. Another part of this project is to work out who all of these people are and their relationship to Hawdon.
Cross-written letters
Cross-written letters in the 19th century were quite common. Stationery in the early 19th century was expensive and sold in different grades.
Heather Mall writes
Postage was another expense. Outside of London, the recipient paid the postage based on the weight of the letter and how far it traveled. Local delivery in London was one penny until 1801 when it went up to two pennies for a 4 ounce letter, and deliveries were made six times a day. You would cross your lines to use less paper to help the recipient save money.

Crossing letters remained acceptable and, in some cases, preferable, until postal reform in 1840. The reforms gave more people greater access to mail service when there were increasing literacy rates and greater social mobility with improved roads. Along with this, a simplified system of pre-paying the postage and applying a stamp to the envelope began. The Uniform Penny Post saw use of the UK mail double in its first year.
As the cost of paper and postage fell, so did the need to cross one’s letters. It probably spared many people from needing reading glasses too soon! Postage in England was expensive.
https://www.heathermollauthor.com/post/regency-crossed-letters


Index To Letters 1828-1830
18 April 1828, The Caroline, Off Plymouth. John Hawdon to Father
8 September 1828, Lavelle Plains, Van Diemen’s Land. John Hawdon to Father
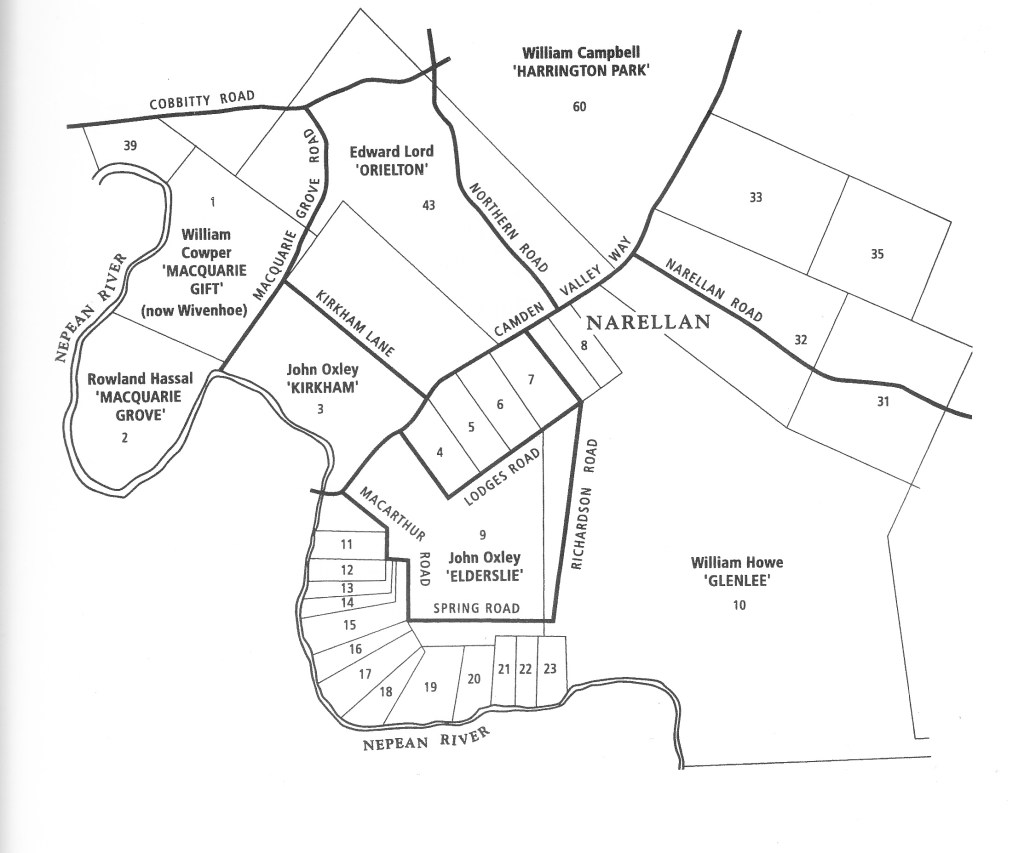
26 October 1828, Elderslie, New South Wales. John Hawdon to Father
24 February 1829, Elderslie Nepean River NS Wales. John Hawdon to Wood
20th June 1829, Elderslie New So Wales. John Hawdon to Mother
2nd March 1830, Sydney. John Hawdon to Father
Letter 18 April 1828
18 April 1828
The Caroline Off Plymouth
My Dear Father
We are at last fairly off. I shall send this on shore by this Pilot that will see us off the land & fairly into the Channel. Margaret is a pretty good sailor, but I am sorry I cannot say so of my little John he has been very ill but trust after a little will be better yet at present he certainly looks very ill he is not much larger than he was at 2 months old yet if he had the sickness & only over I trust he will then begin to …. again.
There was a storm on Sunday & everyone felt the effect severely the cow broke down her house and it was fully expected she … go overboard – but however she contented herself by laying down at the dining room door until the storm was over –
our passengers are all young except one elderly lady who is going out to New So Wales on a visit to a friend for a year or eighteen months a most lively pleasant set they certainly & I have no doubt but they will be pleasant & that our times will half very agreeably if my
I … little Johnny was only bitten …
I fully expected some of you would have written to me to Plymouth I called at the port officer every day … was invariably disappointed I think of visited about two months ago – but all offer us favourable for us at …. … & if we were wise but out of the channel this of any is … not be gone when my dear Father and Mother could have been almost to have sent this little darling back from P by mouth he is looking so very ill, but now he is fairly off & I think even shall be we arrive at the … end … I have been making … is Plymouth I have laid out about 100 … and …
After … lately come from the colony most sure to pay … Margaret joins me in my kindest my dear Mother … shall here from us the first opportunity from your ever truly affectionate Son
John Hawdon
In the cabin in … … two in … … about 46 sheep …. ….. in …. …. In the two ….. …. I can ….. you they make – I have written this in my own cabin which is for a time …. I trust you like this … London & sincerely … with … five miles when all the ships …..
[Addressed to]
John Hawdon Esq, Walkenfield, Darlington, Durham
[text illegible in places]

Letter 8 September 1828
8 September 1828
Lavelle Plains Van Diemen’s Land
Dear John
You will have heard of our safe arrival here by the letters I have sent home and I have no doubt but you will think this long in coming and have set me driven with us faithfull friend but I hope our correspondence Is … yet I shall just begin and inform you what sort of a place we have let to and what room is left I shall fill up with the voyage …
When we arrived here which was on the 4th of May 1828 after a voyage of five months & four days from Leithy. We found to our surprise Hobart Town to be a pleasant flourishing place an may form some idea of it is in 1820 at the last Muster there were 145 Brick Houses & 276 Wood Total 421 Population 2732 it is surprising change consider only 18 years since their has not a Hut on the Island and where the Town now stands was nothing but a road such as surrounds it – This Population and Stock for the Island stood thus Population 6372 and horned cattle 28,838 Sheep 182,468, Horses 421 Expenses of the government … …
You know when we left Hosses it was our intention to have gone to Sydney, But being advised by many to stay here and getting the offer of an attention we thought we could not do better than stop and if we found this was not answer we would box
I hurry again and buy another place but I was happy to say after a trial of five months, we like we are very happy and can and think we will be able to do much better than in England.
Our situation is to manage Stock we have upon an estate of fourteen thousand Acres of Land all together, Cattle sheep and Horses run and breed there like deer in a Park,
there is might to look after them see they don’t stray out of their boundary when they want so the cattle to … I was get their into … … part and pick the fat ones out as many as they want there is no more … and paid to their breeding than there is to Land Darlington Dear we have no more land in butter … than ewes our own use
Larell Plains where we live is 50 miles from Hobart Town 25 land & £25 … carriage we have no trees to clear a way they are standing in cluster and like trees in a Pack [likely NW of Hobart on the Clyde River] which we first went to the plains was only a miserable hut to live in but we have got a comfortable House I wood one –
Edward Lord Eahs is our Master has about 5000 head of cattle at present parts of the country 3000 Sheep & upwards of a hundred Horses most of these running with the cattle in general are very good also the sheep but without wool and a great many Marino Tupt have been bought from Sydney lately and attention in a little matter as paid to the crossing these and Hay made for this little in Winter the season is so mild it is a great measure usually grassy we have sent upward of 100 Fat beasts down to the shore this winter to be killed …
if Cow is worth about £10 or £12 a sheep £1 and a horse that you want give £10 for is worth £50 here Pigs and poultry are in as… way at Jack … it worth £10 now of things I have given you the price of all kinds of stock most of the cattle descendants from the Bengal Cows [likely Bengal area around Calcutta] a little larger than a good sow sheep and crops they passed a great physical with an English bull there was 500 brought to this country in an area ship which cost 7/6 a head at Bengal and sold here at £50 a head.

The Horses are only small they may make twelve riding Lasses be happy here is a great want of lasses stealing straight Lasses Backblocks [kidnapping Indigenous women] are wanted here for able purposes a few Lasses in carts about the town –
Now for a peep at cultivation here is very little land are livable about the town the land is not good about three miles from the Town cultivation begins on the Banks of the River Derwent, You don’t see a large tract of land all insloyed as you do at home every man that has got a grant has of course picked the best and most eligible … is… … [tear in letter paper] patches here you see all the cam toy ,,, … save fencing each means cam to give … great many stumps a left in the … this country is very hilly and the land in cultivation is nearly all on the banks of the Rivers.
The farmers are very great slovens, They want a few left away from such of their place as generating a asses as Your to giving air a better ideas can scarce believe I am from England here you are amongst our own country men our own Customs & Feasts is on. Here You have good Beef, Mutton, Potatoes & Plums to Pudding but by the bye John Plums to Puddings are very scarce it is John Bull over again –
Here is one thing I am sorry to tell you and that is a great scarcity of worms and has been last by young ones you might guess from I say I have them five &mass
I have given you as good an account of the country as I can and will now commence on different subjects
The Governor has granted to us two hundred acres of land which is a small grant owing to our set having a letter from Lord Bathurst and two government … and Returns from the store for six months, we have taken the and in a situation which will make its gave us a large grant, it is in a valley on the banks of the River Clyre [Clyde] where there is an extensive Range for Sheep and Cattle across of the aslysing Hills which will never be taken for a grant it is 50 miles from Hobart town 23 Land and 25 water carriage

may be a result of the Sherwin family’s experiences of attacks by Aborigines in 1829 and 1830 at this remote place. Ratcliff, Eric 2015, A far microcosm: building and architecture in Van Diemen’s Land and
Tasmania 1803-1914, Fullers Bookshop, Hobart.
you may think this is a next distance but you sea if we has gone to Jamaica you must go some hundreds of miles inland – It is a few miles from the Plains where we live.
We have each of us a Horse to Ride, and nothing to do but look and we have 14 men it work fencing and Buildings & they are good with every thing but clothing Huge has £130 & I have £100 a year that is better than we could do in England but no great thing –
Now after giving a good account of this place I would not advise you to come when a person is doing well at home amongst his Relations present & Neighbours he is to blame if he leave.
But any one Farmer that is struggling hard to get a living and then can I won’t advise just to come immediately for a farmer that is industrious cannot but do well here he sells his corn for 10s/ bushel and everything else is like pig & poultry butter &cheese for 3s/ to 4s/ a lb is a general price now he has no Rent or Tenants pay and stock in particular pays better than any thing else now You are a Farmer I leave the judgement to you one thing to remark is implements of Husbandry are very dear every Farmer should fetch every thing out [from England] that is necessary.
Now you must not think it is all straight favoured work there is a great many difficulties at the first start – but after all is said there is no place like Old England if you can live there and be happy [emphasis] that is the thing –
the next thing Ladies and Gentlemen that I shall introduce is a pick at the sea voyage and I am sorry to say that the limits of this letter only allows for a short performance when we left Portsmouth we had about 88 passengers on board for the Cape and here, we had a strong wind and high seas down the Channel we soon got in the Bay of Biscay where we got a contrary winds stormy weather an very high seas
I was sick and poorly for ten days after we sailed I then got better and all the way here I never enjoyed better health in my life
There was a great many joining him on board that were all sociable pleasant fellows and amongst them there were two that played the Fiddle well and that used to put off many a small hour there was many a good dance between our decks and many a hearty song particularly in the Saturday nights when we used to … Two tweet hearts … …
We encountered a storm on New Year’s Day and the … we had several of our sails torn to say and spinning the Gib … blew so strong we could not carry any sails the wind was contrary so laid her too under close leefed topsail all the day with the helmman lashed down a lee and she was shipping seas every now and then which came right over her after that we had fine weather all the way except a hard gale off Tenerif where we were boping about with a contrary wind for a week,
we spoke ships between the Cape and England most of them americans, one of which I was on board the Margset of Baltimore; we were three months between Poitante and the Cape I cannot give you any account of the Cape for want of room; except the Town is a pleasant place and the Mountains behind it very romantic scenery

fitted we left the Cape we were six weeks in coming here had a ra…ley passage used to sun 210 and 220 knots in the 24 hours for days together, the wind and the seas very high, saw nothing all the way except Whales, Porpoises and sea fowls
We arrived here on the 4th of May after a Voyage of five months and 11 days from Leath so here as colld The voyage and I am sorry cannot joke a fallen discrisslities … …
It’s your Father & Mother my Jasson and Mosy and amongst the next You will not forget Christopher
PS You will please not to… that hide & cry through the country but one acquaintances Rob Dixon you can tell them I am very well… the young Ladies a kin for me
This here and never got a kiss of a young woman yet, I am going to put your … a way to make your fortune of Freight a ship out here with women young and old it makes no matter, perhaps they will cost rather more than the Bengall Cows, and when you get them here sell them by Auction And I think you will make as good a job of it as the main did with his Bengall Cows, as the population stands here is five men to one woman, so you may just …ge of the scarcity. call Matt so you may just manage of the scarcity. As a serious thing if I man has to go 16,000 miles to get a wife,
Now John I am baddering my head about women instead of going on with my story and giving you some news … happen you and … the best we have You will please to be … with to tell when things good about aceremat … Direct to KD Post Office Hobart Town Vandiemen’s Land.
Brother George reminds his respects to you Mr Hawdon …& all the Family being same young women … you they good for sore eyes here.
[Addressed to]
Mr John Hawden Esq, Staindrop, Darlington, Durham
[cross-written; some words illegible; pages torn]
Letter 26 October 1828
26 October 1828
Elderslie New South Wales
My dear Father
We have all thank God arrived safe in this Colony we landed on the 13th of September our passage was very tedious yet not very pleasant we scarcely experienced a storm during this whole voyage –
Margaret presented me with another little boy on the passage he was born off the Cape of Good Hope and is now a strong healthy fellow I think about at strong and John was when we left England and John can run about and is beginning to talk –
on our arrival in the Colony I found the expenses in Sydney very great more than double the expenses of a family in London so, I thought it advisable to take on little turn until … … yet my … … say … grant of land fixed up on and I was very fortunate in meeting without … … …is a very good & very cheap place.

it is 38 miles from Sydney I have got about 1700 I guess of Land on it all fine is in and divided into paddocks about 400 Acres cleared & … … where my ploughs are g… the … as in England for £200 for fifteen months and out of that I have three … only… pay such £72 per Acre. The cultivated land is capital better than any, I ever saw in any other part of the world it is on the Nepean River for about three four miles the river passes Mr MacArthurs land from mine his house is on the opposite side of the river to mine – we have got an excellent house Garden and conveniences equal to almost any in England indeed we have not experienced any of the difficulties of new settlers the produce of land is very down wheat is from 17/- to 18/-per bushel and maize or as it is called their corn is 12/- to 13/-per bushel.

I have 8 men six of these are government they cost me nothing but their rations & of their rations and nearly grow on the farm the expense is not felt, but I find I have two fine men I am going to apply this next week for other five government men Those I have very good workers indeed nearly as good workers as one sees in England.
I bought six working of bullocks of Mr Harrington that were working on the farm at £10 per Head and I, bought two very good draught horses at £45 each they have been of very great service to us for bullocks although generally or mostly altogether used in the Colony are very slow indeed you will fancy that my men have not lost much time when I tell you that they have got in eighty acres of corn for maize. The overseer that was on the farm before I took it says I shall have 80 bushels per acre but allowing that I have 50 bushels per acre it will make a great deal of money & dairy making great deal in this country & we now beginning to keep a large one
I have been up in Argyleshire purchasing cows I bought 40 in calves and new calved at 5sh and 10sh per head many of them would sell in England for £15 or £16 each they are very good but I chose these out of about five or six hundred & I have purchased a very good shorthorned Bull of Mr McIntyre for £20. I can buy live at from 20 to 30 each but I don’t mean to purchase a flock yet until I get some profit from my cattle and fix on my grant –
The governor and indeed all the gentlemen in office have been very pleasant & attentive to me I have already got my letter for selection for 2560 acres which is the greatest grant now given to anyone
I had some difficulty to prove myself professed of the letter required for that grant that is £2000 but however I used some existence and was successful in passing the land board which they certificated for the minimum of the capital you possess I am examined They are very particular –
I have seen two places in Argyle I am very fond off for a grant, the one is on the banks of Lake George with a chain of fine clear ponds through the middle the other is about 10 miles distant with a chain of ponds through the middle and a lagoon of about 400 acres at the head – Lake George nearly 40 miles round it & seems clothed with ducks geese swans to it – all in the greatest abundance in all the ponds about there are abundance of fine large ducks that a person fond of shooting might amuse himself with but I find when game is in such abundance one tires … of the sport – The places I speak of are about 160 miles from Sydney that is a long land carriage yet there are so many advantages to own compensate that difficulty, that I think it most profitable I may choose that part of the country

I have the pleasure of the acquaintance of some Gentleman on Hunter river who I have promised to go to see before I fix. They say they are successful and I should choose Hunter River I think this climate will be too warm for us there as I shall not be able to go any place at least a good one six or the one 200 miles from Sydney in that direction –
I also bought I letter of introduction from England to a Mr Reiley who lived in bathurst that is across blue mountains who I have promised to go & see before I fix on any grants he says he is sure I shall like Bathurst but I have no idea of fixing there it being nearly 200 miles and very mountainous roads. Mr Reiley is a young man not much older than I & it is supposed he has made over hundred thousand pounds in the colony he is going to set off for England in a few months he says to get a wife I recommended him on our sisters a young man from Northumberland who came out in the caroline with us & who was living with new wife he got him he was a young man & it cost him from eight to ten shillings a day bring in Sydney & I told him he might live with me if he would make himself useful – He was very glad to get such a place as mine –
The country looks very well at present and now appears every chance that my person that is inclined my do my will. Yet I should recommend a person particularly a family man to consider well the difficulties he will have to any doings in emigrating to such a distance although I I have not felt these much in a way have been almost ruined before they began will then as usual here that have not done well but there they are in general such as would not have done well any where –
my letters of introduction – have been very good and of great service to me now more so than one to Mr Reiley which I got at Plymouth by mere chance – time Mr MacArthur the one to Revd Cowper & the other to the Revd Allandice have been of great service to me and also two from Dr Slateral all the other to Dr Bowman that married a daughter of Mr MacArthur’s and the other to Sir John Jamison have been of use to me I will thank you to tell Mr Thornhill and Mr Hepple that I feel obliged by their letters to Colonel Miles
I have no doubt they would have been of great service to me but unfortunately he had shot himself before I landed here … I did not meet with Robert Dixon until last week he was surveying in Argyle and when I was up purchasing ewes he heard of me and came to see me in the hut we were staying in and spent two days with me & he is looking very well he has got a salary of £300 a year and his rations and appears very happy he is going to ask for a week or a fortnight back of a chance to take over Argyle with me when I go up again.
Should any of my acquaintances or friends inquire of the country I should recommend them to come out there is a good prospect particularly if they possess a capital but those without a certain capital (say $1000) would do as well in England without they would take some solution – they can enumerate perhaps half a dozen that have come out as convicts and have now made fortunes of upwards of one hundred thousand within the last twenty years but times for rapid fortunes are gone by and murmours you hear are very good yet after being accustomed to my land I envision the prospects good.
I dined a few weeks ago at the Agriculture dinner & was proposed a member, there were 98 dined of the most respectable in the colony Sir John Jamison in the chair the Colonial Secretary the Attorney General the Officers of the Army and Navy station … & in fact the majority of the respectable in the colony the most of whom I was introduced to. The Governor has also been pleased at two dinner parties to express his sentiments of approbation on me saying too that I begin like a person that is determined to do well in the Colony for I had not been eight days in its tell my plough was going the same as in the County of Durham.
Merchandise is a just doing I have not sold any thing yet but I am going to Sydney tomorrow & purpose in making some sales the Honble R Campbell & Co to whom Mrs Franklin gave me a Letter of introduction has the sale of my goods & I gave them 7½ p’cent they insuring the payment of all they have 50 p’cent profit on the Invoices before some of the things.
Bradys box for one but I was not inclined to take it –
I have about 60 Acres of Wheat looking pretty well it did look very ill when I first took the farm but rain came and has improved the appearance of its astonishingly the appearance of everything when I took the farm was most wretched there had not been any rain for nearly three years & all was burnt up & the cattle dying at all sides.
Good up to such on the 16th founded it, road to Sydney on the 17th, I took A & M rain commenced that night by the time that we got to S. every thing was quite another appearance, yet the grass land is not near so fine as the grass land in its Argyle
the ploughed land which is by the river side is not to be … but I do not think that I can keep my Cows that I have just come from Argyle in the condition they are in they at least most of them on a fat as the fat cattle in smithfield
many of the large stock holders ask me £10 p Hd for Cows these of mine are most favourably … for cash under particular circumstances and is very much wanted from the drought money has gone of the colony to purchase wheat & particularly the farmers feel it but this fine season will won perfectly change the appearance of their prospects

I was very unfortunate with the live stock I brought out my Cow was nearly hunger to death on the passage the Captn was such a greedy fellow that we would only allow her for several weeks only 10lbs of hay per day and five gallons of water yet with all his bad treatment she lived until we got here but the climate being so warm & she was so reduced she was not recover it & died in less than a week after she left the ship at Raby only 6 miles from Elderslie had she died on board I should have tried to have recovered for his –
of the captain as he made himself very disagreeable to the Passengers during the voyage I also lost my Ram on the passage the Ewes have landed safe but it is a bad spec bringing them – the Girl we brought out got married before we had been here days in the colony but is was very well for she was in the family way & a very bad girl so we were very glad to get quit of her. Willy and Lance doing very well men are so cheap in this country that it is so at folly bringing any out except carpenters and they have great wages many have £3 a week
I have applied for a government man carpenter but am not sure that I shall be successful, the greatest want is a good house servant I mean a man servant it is worse having woman for they are sure to get married as soon as they get here –
I wish you we be so good as since we Frank the ask live with me he offered to pay his passage and come & I did very wrong not to engage him for an honest servant of that description is invaluable – the man out of the house cannot almost be dishonest for every thing is kept under lock and in Willy’s care
[no signature; no addressee; crossed writing; some illegible; microfilm very faint]
Letter 24 February 1829
24 February 1829
Elderslie, Nepean River, NSWales.
My Dear Wood
Months yes even more than a year has passed since I have seen or heard from you –
… was not the case when a shorter distance parted a tenth part of the time seemed long if I did not hear from you whom I was always proud to consider my friend but although I am such a distance from any native land time seemed to be rolling away as pleasantly as any one may reasonably expect
I have no ’cause to report my journey to this country it is a fine climate the lovely country after leaving England we had a very tedious rough weather worth mentioning but as it is now easily there months since I wrote to my father & mother by the Helena you will most likely have heard of our safe arrival –
at the first I was not so much pleased with the country they had felt the effects of 3 years of drought & every thing looked most wretched but we had not been in the country a week before the rain set in & made a wonderful change in the appearance of everything.
In the mean time I had taken the farm I am on at present & our excellent concern it is turning out altho’ few things are true there the price they were when I came to the colony I have got 1680 acres of ground 4 about £100 per year. The House is furnished and nearly as good as the one we left in Stainthorpe –

It is all fenced in, and divided into paddocks, (tho’ one of them is a paddock of 700 acres) and the ploughed land cleaned about 400 acres. The Consehiences, such as Basses Stables are as good as in England.
I keep 50 Cows and our cheeses are sold from 10d to 1s per lb, butter 2/6, it was as high as 5/-but the present is a very good price – Lance Sanderson is my dairy mate a capital good one he is. He has two milkmen under him; he makes two good cheeses in the bay – worth from 20/- to 24/-. You will think this not – much for so many Cows, but you must consider we only milk in the morning & the calves suck the
[Addressed to]
Gilbert Woods, Kimblesworth near Durham, England.
[Ship letter; some illegible handwriting; some of letter missing]
Letter 20th June 1829
20th June 1829
Elderslie New South Wales
My Dear Mother
Trusting you have received ours of Nov last. I must state what real pleasure it gave us both to receive your kind letters, the one dated 20 July 1828, the other 22 Oct 1828. It was rather singular that altho they left England nearly three months apart, the both arrived at New So Wales on the same day.
There were 5 or 6 vessels arrived about the same time, those we a have been amused to have seen the anxious faces at the post office & when I heard when there were no letters for Hawden, I thought you had all forget me but however they arrived safe about two weeks after & did you but how greedily read every line.
I am sure you wd[ould] write more frequently, but I must tell you before I scribble any more that we are all quite well & doing very well.
Elderslie has been a very good concern this year indeed so much, that I think of takg [taking] it for 3 more years.
You will be rather astonished to hear that I have not yet got my grant of land, I have twice fixed & been both times disappointed the first time I fixed on Lake George about 200 miles from Sydney, & the next time at Bongbong, about 8 miles from Sydney, the first cause of my disappointment was a Gentleman had fixed on the lake frontage for 400 acres about 3 weeks before me, & as the Lake frontage was gone wd not take the other, altho a very fine grant of Land, & the latter grant was
[part of letter to Father 3 April 1831; parts of letter missing]
Letter 2nd March 1830
2nd March 1830
Sydney
My Dear Father
I have today shipped from ’ Warrior ’ for London a box for you containing a sample of our New So Wales wool to make out Coats. I have written to you and several of my dear friends & sent this letter in the hot but for fine it should air detained I think it advisable to write to you by another vessel –

in my Mothers letter I forgot to mention that my little one have each sent something to Grandmother at England and tho’ they are but trifles I have no doubt but my dear Mother will be glad to receive them from her grandchildren in New So Wales.
John has sent a few birds skins which I believe can be stuffed and made to look well in England there are two Rosella Parrots skins and two Grey Paraquits skins, Gilbert has sent two Emu Eggs, Margaret has sent two pheasant tails and William has sent some Cockatoo feathers.
I have just got all my business finished here and set off home tomorrow.
Every thing is very lively here I have sold five young Durham bulls at 20 Guineas each something like English prices. My cattle are getting to be very good and I think I shall get a name against next season for good Durhams. I have kept twenty calves this year for bulls for next season. Joe says they are not so good as your cattle at home but what Irish … Of them at home I think they are –

I told you of all our proceedings in my letters that is our the boy but perhaps you may name this first so it is missing to tell you in this that we are well and that everything is going on very parspinous by here,
we here had a very dry season this last year and the crops were consequently very bad particularly near Sydney, at Elderslie and that neighbourhood they had very little rain nothing but hay is selling very high Mr Forster that is managing Elderslie for me had three and a half tons of hay in the market last week he got twenty pounds per ton for some of it and very meat that for the whole –
we were favoured with rain on my … grant and the crops were good indeed from its situation being near the sea on the banks of … and the mountains surrounding it subject it to showing where there is any river in the country.
My sheep and cattle are doing very well I have a very good dairy station here, get 2s/ per pound for our butter. I … my herd at £9 … fat bullocks at £6 each and my wethers at 12/6 each wheat is worth 12/-per bushel but I have never … more than what supplied myself.
Mrs Peacock is very much pleased with this country she had a little money left after arriving here and I bought her some sheep with it most have done very well and I have bought 150 more this year so she will soon become a sheep owner.
Joseph turns his attention altogether … cattle I have no doubt but he … do very well Francis Hunt has begun … himself and Every prospect of dairy cows. Chas Hunt is managing for me … on very well –
by reading all my letters I have no doubt but you will see pretty nearly what we are doing.
I’ve … me to apologise for his not writing he was off on short notice for 100 head of fat cattle or he certainly would have written by the box he … be in Sydney in a month when he intends waiting … per hope you many … his letters first
will you tell Gilbert Wood I have not send a letter from him for a very long time I think nearly two years need at a finish meat to him I would not send him a letter in his wool bag but what soon to put him to the Expense of a letter by post.
I suppose he is doing very well at Whitway but he might to have come to this country but I have told you in my last letter I wished returning to England in about three years if all is well and there I shall give here I full account of the whaling and he came to him purpose his mind.
[Addressed to]
John Hawdon Esq. Walkenfield, Staindrop, Durham.
My paper is pretty well filled I must cross … my hasty letter give my kind love to my Mother Julia William and all Enguissy friends and … me this dear family ever.
Your affectionate Son
John Hawdon
[cross-written; illegible in places]
References
Magee, Stuart 2006. The History of Moruya. Moruya District Historical Society, Moruya. Online at https://mdhs.org.au/history.html
Hawdon, John 1821-1833, John Hawdon letters, 1821-1833. MSS, State Library of NSW.
Hawdon family 1832-1838, Papers relating to the Hawdon Family, 1832-1838. MSS, State Library of NSW.

Discover more from Camden History Notes
Subscribe to get the latest posts sent to your email.
